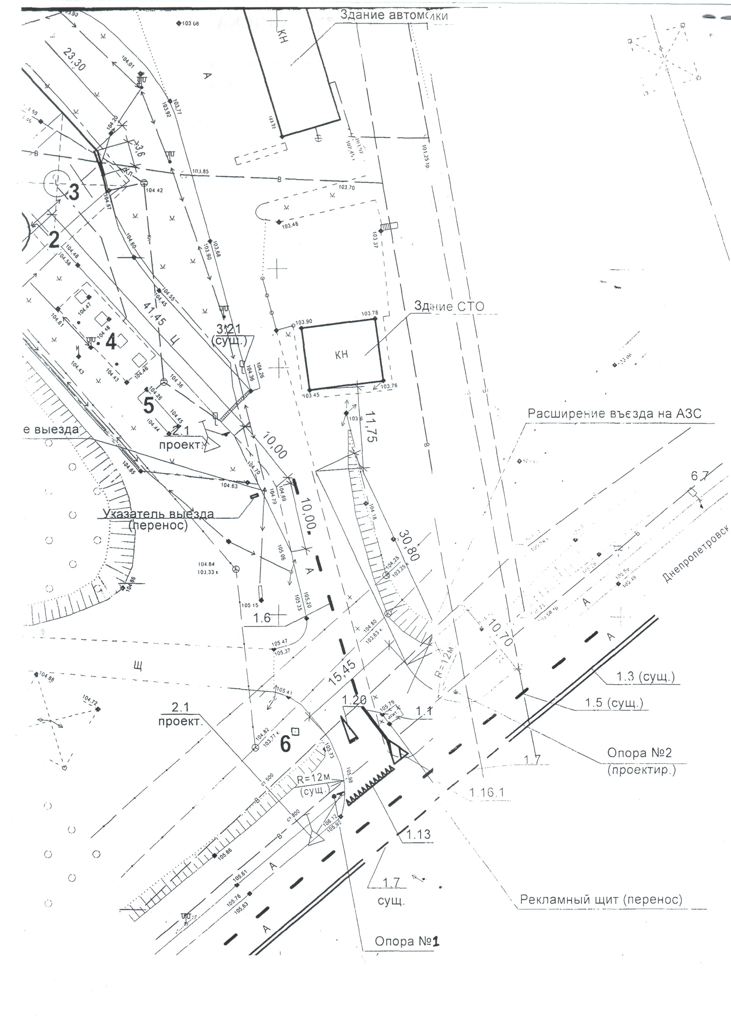
№ 63 Про організацію дорожнього руху біля автозаправочної станції № 03/007 по вулиці Дніпровське шосе, 23
Номер документу
63
Назва документу
№ 63 Про організацію дорожнього руху біля автозаправочної станції № 03/007 по вулиці Дніпровське шосе, 23
Дата створення
19.08.2016
Дата надходження
17.03.2017
Джерело інформації
Головний спеціаліст з питань надзвичайних ситуацій та цивільного захисту населення
Галузь
Транспорт та організація дорожнього руху
Тип, носій інформації
Текстовий документ
Вид документу
Рішення Довгинцівської районної в місті ради
Місце зберігання
Загальний відділ виконкому Довгинцівської районної в місті ради
Перелік файлів:
